銀杏達強颱水準!2地大雨狂炸 降雨趨緩時間曝

2024-11-08    HaiPress

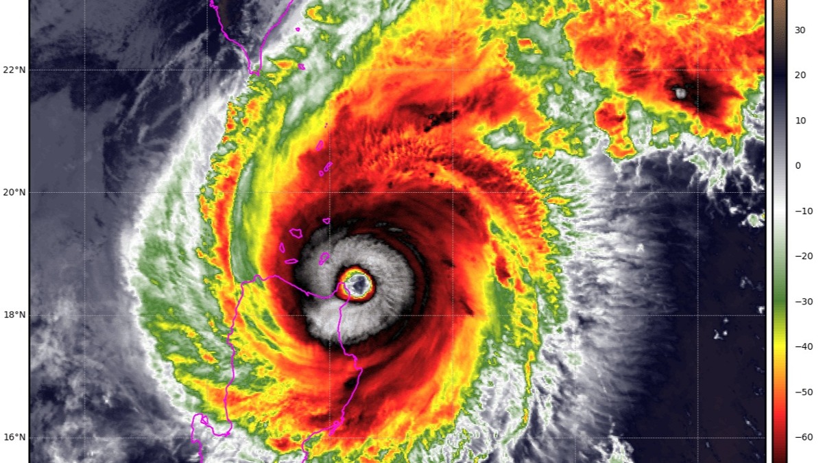
氣象專家吳聖宇在臉書分享銀杏颱風動態及影響。(圖/翻攝自 臉書 @天氣職人-吳聖宇)

銀杏颱風目前持續向西,即將登陸呂宋島東北角,氣象專家吳聖宇也指出,銀杏颱風的颱風眼相當清晰,結構極佳,有強颱的水準,不過,雖然不會登陸台灣,但外圍環流是否會對台灣天氣造成影響,吳聖宇也說明了。

氣象專家吳聖宇在臉書「天氣職人-吳聖宇」中表示,銀杏颱風即將登陸呂宋島東北角,颱風眼非常清楚,結構極佳,應該有強颱的水準,不過範圍很小,強風豪雨大概就只集中在颱風眼牆處。

針對台灣天氣的影響,吳聖宇提到,颱風北邊的雲系慢慢向北擴散,以中高層雲為主。明後天各地雲量都可能會比較多,降雨的預測仍是以迎風面地區為主,宜蘭、東北角一帶雨量預報還是比較多一點,累積雨量可能來到大雨等級,不過,今(7日)晚間到明天(8日)白天是預報水氣較多的一段時間,明晚之後降雨逐漸減少。

至於這樣的天氣影響是否為「共伴效應」,吳聖宇也說明,由於颱風本身的東南風水氣並沒有上來,因此談不上共伴,只能說有些水氣順著風向被送到地形上帶來降雨,西半部就不受影響了,維持多雲或有陽光的天氣。

《EBC東森新聞》主播王淑麗也提到,今天深夜到明天就是銀杏颱風離台灣最近的時候。銀杏颱風大約在明日凌晨2點就會到台灣正南端的位置,基隆北海岸至宜蘭之間,有些地區及山區需特別注意局部會有大雨情形,中南部則是完全不會受到影響。